Neues Clubhaus
Das Projekt
Nach dem der BC Rheinfelden die Pacht des Clubgeländes von der Stadt
Rheinfelden übernommen hat, haben die Eigner des BC Rheinfelden beschlossen, ein
Clubhaus zu errichten.
Eine Projektgruppe hat die Visionen aufgenommen und
ein Projekt erstellt, welches mit einem Baugesuch bei der Stadt Rheinfelden und
dem Kanton Aargau eingereicht wurde.
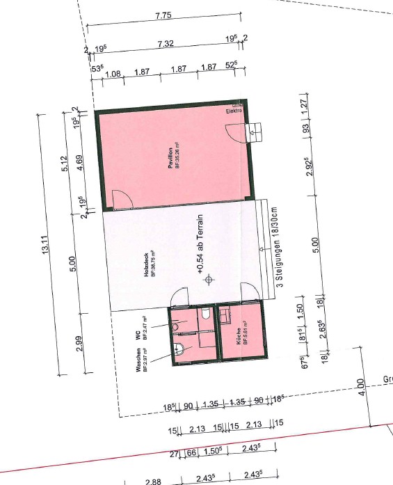
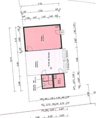
Das Clubhaus soll als Treffpunkt für die Mitglieder des BC Rheinfelden und des Faltbootclub, bei Anlässen zur Verfügung stehen. Der Sanitärbereich bietet Duschen und Toiletten für die Mitglieder und die Gäste der Clubs.
24. Juni 2017 - Der Bau beginnt
Nach dem das von der Projektgruppe "Clubhaus" bei der Stadt Rheinfelden eingereichte Baugesuch von der Stadt und dem Kanton bewilligt wurde, kann nun der Bau beginnen.
Als erstes muss das Fundament, für das Clubhaus und den Sanitärbereich genau
eingemessen und eingebaut werden. Infolge des trockenen Wetters konnten nicht
gleich alle Erdnägel wie gewünscht gesetzt werden. Drei Schraubfundamente
sind wegen des schwierigen Untergrundes sogar abgebrochen. Schlussendlich, nach
dem mit Wasser der Boden etwas aufgeweicht wurde, könnten alle Fundamente
gesetzt werden.
Diese arbeiten wurden in der letzten Woche erledigt. Der
Pavillon (Clubhaus) wird danach per Camion angeliefert und mit einem Kran auf
das Fundament gesetzt.
27. Juni 2017 - Das Clubhaus wird angeliefert
Am Dienstag, 27.6.2017 wird das Clubhaus angeliefert. Auf dem vorgesehenen
Platz wird eine Plastikfolie zum Schutz vor Feuchtigkeit, auf dem Boden unter
dem Gebäude ausgelegt. Auf die Erdnagelfundamente werden Stahlträger gesetzt, so
dass das Gebäude korrekt gestellt werden kann.
Die mit dem Tieflader
angelieferten Gebäude Teile werden mit einem Kran an die vorgesehene Position
gehievt. Der Kranführer wurde per Funk dirigiert, da die Hecke ihm die Sicht
verwehrt. Er musste so die exakte Position zum absetzen der Gebäudeteile
finden. Dank guter Vorarbeit und Vorbereitung des Geländes, steht nun das
Clubhaus nach ca. einer Stunde wie geplant.
